济南轨道交通4号线4站点具体位置公示,快看你距离哪个车站近
搜狐焦点济南站 2022-01-19 15:02:18
用手机看
扫描到手机,新闻随时看
扫一扫,用手机看文章
更加方便分享给朋友
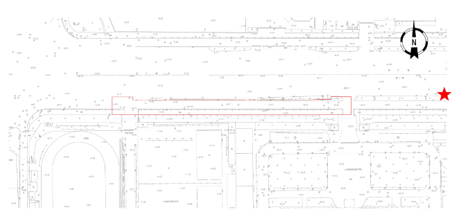
1月18日,济南市自然资源和规划局公示了济南轨道交通4号线雪山路站、燕山立交桥东站、段店站和经七路西站四个站点的建设用地规划许可批前公示(以下简称“公示”)。公示详细标注了车站位置。
1月18日,济南市自然资源和规划局公示了济南轨道交通4号线雪山路站、燕山立交桥东站、段店站和经七路西站四个站点的建设用地规划许可批前公示(以下简称“公示”)。公示详细标注了车站位置。


公示显示,济南轨道交通4号线雪山站位于历城区经十路与雪山路交叉口北侧,用地面积约0.55公顷。


燕山立交桥东站位于历下区经十路与二环东路交叉口东侧,用地面积约0.47公顷。


段店站位于槐荫区经十路与规划南北路交叉口,用地面积约0.64公顷。


经七路西站位于槐荫区经七路与经十路交叉口东南侧,用地面积约0.196公顷。
公示期限为2022年1月18日至2022年1月24日。
据了解,4号线一期为城区东西向骨干线,途经槐荫区、市中区、历下区、高新区和历城区;线路西起小高庄站,东至彭家庄站,沿青岛路—顺安路—经十路—唐冶中路敷设,全长约40.2公里,设站33座,均采用地下线敷设,在线路西端设位里庄停车场,东端设唐冶北车辆段。(新黄河)
声明:本文由入驻焦点开放平台的作者撰写,除焦点官方账号外,观点仅代表作者本人,不代表焦点立场。


